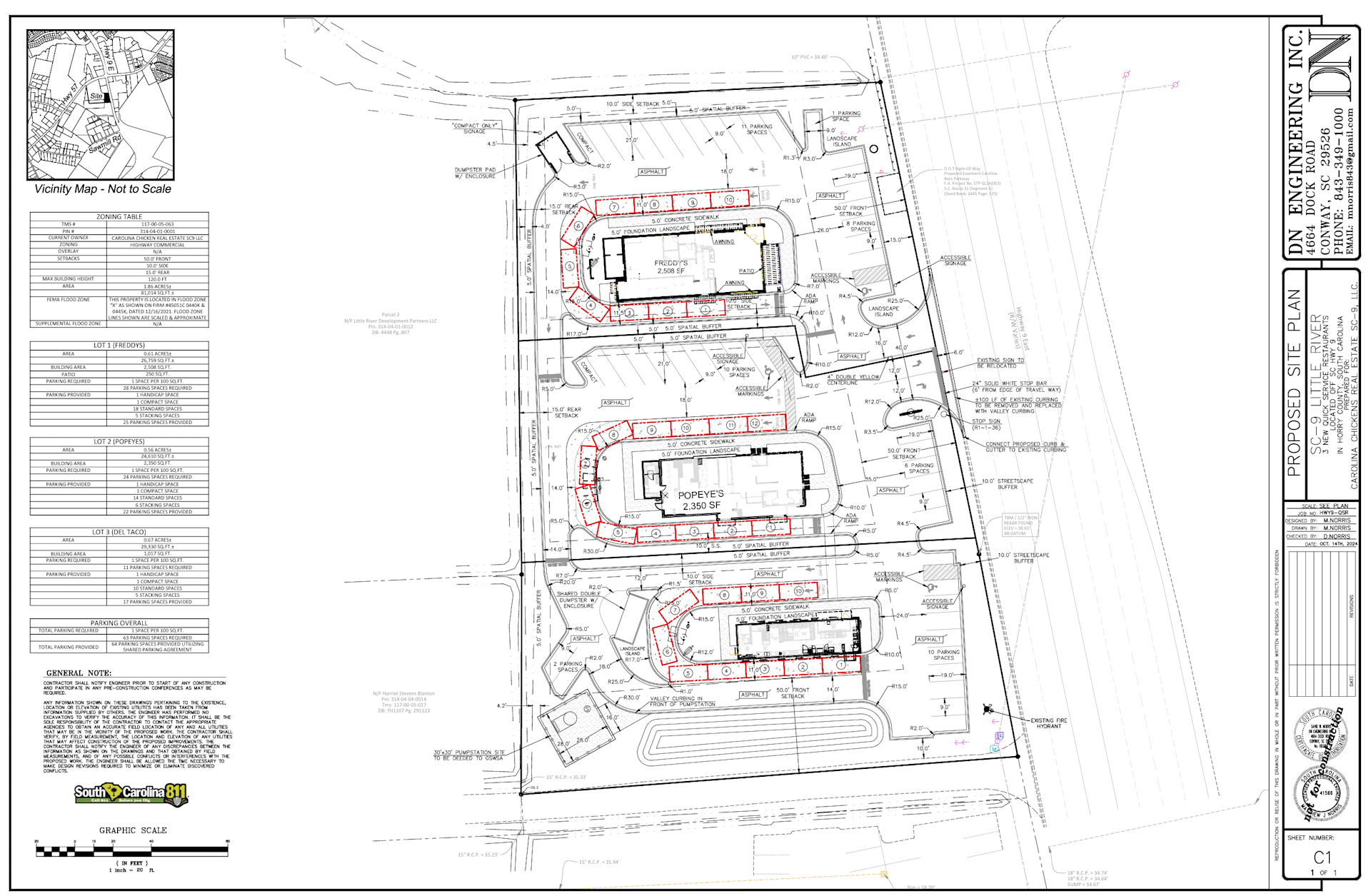
2496 East Highway 9, Little River, SC

We have officially broke ground on our multi-tenant QSR project in Little River, located on Hwy 9. This site is directly in front of a new Food Lion and Tractor Supply Co. on a heavily trafficked intersection with over 42,000 cars per day, this 1.85-acre site offers excellent visibility and accessibility and will feature Popeyes Louisiana Kitchen, Freddy Custard & Steakburger, and Del Taco. This property is part of a strong retail corridor that includes national tenants such as Dunkin, CVS, AT&T, and Bojangles.

The area draws in a high volume of traffic, making it a hub of commercial activity. In addition to its prime location, this site also benefits from the 1,800+ homes being built within a 2-mile radius, providing a steady stream of potential customers and clients.

 


 
 
 
 
 

TENANTS

 
                        

Work With Us

Impeccable Development is always looking for quality sites and new partnerships. Join us to view any site plans, offering memorandums or marketing materials.

Follow Us on Instagram